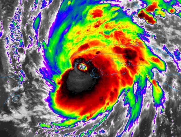
Ο τυφώνας Ίαν διέρχεται πάνω από τη δυτική Κούβα με ανέμους που αγγίζουν τα 200 χλμ/ώρα κατατάσσοντάς τον στην κατηγορία 3 των τυφώνων.
Σύμφωνα με τις προβλέψεις των αριθμητικών μοντέλων, θα ακολουθήσει βόρεια τροχιά κατευθυνόμενος προς τη Φλόριντα των Η.Π.Α.
Διαβάστε σχετικά: Η Φλόριντα οχυρώνεται εν όψει του τυφώνα Ίαν
Δείτε ΖΩΝΤΑΝΑ την πορεία του τυφώνα Ίαν μέσα από το Fox News:

